Central Florida firefighters assist in search efforts after Laura devastates Louisiana
The task force, which has 40 firefighters in it, was deployed on Wednesday.
The task force, which has 40 firefighters in it, was deployed on Wednesday.
4 deaths caused by falling trees in Louisiana during Hurricane Laura
The governor of Louisiana says four people, including a 14-year-old girl and an 68-year-old man, were killed by falling trees as Hurricane Laura moved through the state.
The governor of Louisiana says four people, including a 14-year-old girl and an 68-year-old man, were killed by falling trees as Hurricane Laura moved through the state.
Laura weakens into a tropical storm after lashing Louisiana, taking at least 4 lives
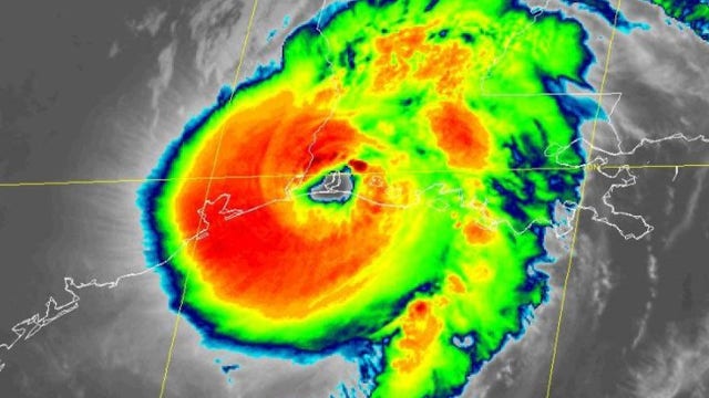
Hurricane Laura made landfall in southwestern Louisiana as a ferocious Category 4 monster with 150 mph winds early Thursday, swamping a low-lying coast with ocean water that forecasters said could be 20 feet deep and unsurvivable.
Hurricane Laura made landfall in southwestern Louisiana as a ferocious Category 4 monster with 150 mph winds early Thursday, swamping a low-lying coast with ocean water that forecasters said could be 20 feet deep and unsurvivable.
Hurricane Laura captured in stunning pictures from space
NASA astronaut Chris Cassidy has photographed Hurricane Laura from his vantage point on the International Space Station.
NASA astronaut Chris Cassidy has photographed Hurricane Laura from his vantage point on the International Space Station.
Chemical fire billows near Lake Charles in Hurricane Laura’s wake
A fire at a Louisiana chlorine plant erupted with thick, billowing smoke Thursday after Hurricane Laura plowed through part of the country’s petrochemical corridor with storm surges and fierce wind, forcing residents around the plant to shelter in their homes.
A fire at a Louisiana chlorine plant erupted with thick, billowing smoke Thursday after Hurricane Laura plowed through part of the country’s petrochemical corridor with storm surges and fierce wind, forcing residents around the plant to shelter in their homes.
Florida Power & Light sends crews to Louisiana and Texas as Hurricane Laura approaches
The National Hurricane Center (NHC) said that Hurricane Laura is expected to hit the Louisiana-Texas coast as a Category 3 hurricane -- the season's first major hurricane -- with winds of at least 111 mph. I
The National Hurricane Center (NHC) said that Hurricane Laura is expected to hit the Louisiana-Texas coast as a Category 3 hurricane -- the season's first major hurricane -- with winds of at least 111 mph. I
Hurricane Laura forces hundreds of thousands to evacuate Gulf Coast
More than 385,000 residents were told to flee the Texas cities of Beaumont, Galveston and Port Arthur, and another 200,000 were ordered to leave low-lying Calcasieu Parish in southwestern Louisiana, where forecasters said as much as 13 feet (3.96 meters) of storm surge topped by waves could submerge whole communities.
More than 385,000 residents were told to flee the Texas cities of Beaumont, Galveston and Port Arthur, and another 200,000 were ordered to leave low-lying Calcasieu Parish in southwestern Louisiana, where forecasters said as much as 13 feet (3.96 meters) of storm surge topped by waves could submerge whole communities.
Hurricane Laura forms, expected to strengthen significantly and make landfall as Category 3 hurricane
Laura to become a major hurricane.
Laura to become a major hurricane.
Laura expected to strengthen into Category 2 hurricane, Marco now tropical depression
The FOX 35 Weather team is tracking Marco and Laura as they set their eyes on the Louisiana coast.
The FOX 35 Weather team is tracking Marco and Laura as they set their eyes on the Louisiana coast.
Ready to help, over a hundred TECO workers head to Louisiana storm zones
This time around, Florida will be spared from any major impacts of Tropical Storm Marco or Tropical Storm Laura. However, the state is no stranger to hurricanes and is familiar with the devastation they can bring. That’s why TECO dispatched their crews Monday morning to Louisiana to be in place and ready to lend a hand after the storms pass.
This time around, Florida will be spared from any major impacts of Tropical Storm Marco or Tropical Storm Laura. However, the state is no stranger to hurricanes and is familiar with the devastation they can bring. That’s why TECO dispatched their crews Monday morning to Louisiana to be in place and ready to lend a hand after the storms pass.
Louisiana woman nearly hit by lightning strike debris, says 'God was definitely with us'
'One step closer and I would have been seriously injured,' Sarah Ribardi said
'One step closer and I would have been seriously injured,' Sarah Ribardi said
U.S. Coast Guard veteran celebrates 100th birthday in New Orleans
A U.S. Coast Guard (USCG) veteran who served in World War II turned 100 years of age in New Orleans, Louisiana, on June 27, and his birthday was marked with a parade of cars, music, cheering from friends and family, and tributes from USCG officials.
A U.S. Coast Guard (USCG) veteran who served in World War II turned 100 years of age in New Orleans, Louisiana, on June 27, and his birthday was marked with a parade of cars, music, cheering from friends and family, and tributes from USCG officials.
'Itty bitty gator rolls': Baby gators use defensive move to eat fish scraps in Louisiana pond
Floridians have lived around alligators long enough to know and witness the death roll, a defensive move by the reptiles -- usually seen when they are captured by a trapper. However, for some baby gators, it was to help chow down on a fresh pile of fish scraps.
Floridians have lived around alligators long enough to know and witness the death roll, a defensive move by the reptiles -- usually seen when they are captured by a trapper. However, for some baby gators, it was to help chow down on a fresh pile of fish scraps.
‘Completely missed the mark’: Drew Brees apologizes for comments on kneeling during national anthem
The New Orleans Saints quarterback said his comments "lacked awareness and any type of compassion or empathy."
The New Orleans Saints quarterback said his comments "lacked awareness and any type of compassion or empathy."
Louisiana cop fired for suggesting it was 'unfortunate' coronavirus hadn't killed more black people: report
A Louisiana police department apologized and one of its officers was fired over a Facebook comment suggesting he thought it was “unfortunate” more black people have not died from the coronavirus.
A Louisiana police department apologized and one of its officers was fired over a Facebook comment suggesting he thought it was “unfortunate” more black people have not died from the coronavirus.
Baby can't stop laughing at playful Labradoodle
Dog really is baby’s best friend – as shown by a little seven-month-old boy in Louisiana who could not contain his laughter as he played with his two-year-old Labradoodle during lockdown.
Dog really is baby’s best friend – as shown by a little seven-month-old boy in Louisiana who could not contain his laughter as he played with his two-year-old Labradoodle during lockdown.
Coronavirus-hit Mississippi, Louisiana, pounded by tornadoes, with at least 19 dead in the region
The powerful storm system could bring severe weather to the northern parts of Central Florida after devastating the Deep South, killing several and damaging hundreds of homes and buildings.
The powerful storm system could bring severe weather to the northern parts of Central Florida after devastating the Deep South, killing several and damaging hundreds of homes and buildings.
Tom Dempsey, legendary NFL kicker, dead after coronavirus bout at age 73
His history-making kick for the New Orleans Saints against the Detroit Lions broke the previous NFL record by seven yards.
His history-making kick for the New Orleans Saints against the Detroit Lions broke the previous NFL record by seven yards.
Louisiana church hosts over 1,800 people despite social distance warning during coronavirus pandemic
A Louisiana church attracted more than 1,800 people to their Sunday service, despite warnings from health officials to practice social distancing.
A Louisiana church attracted more than 1,800 people to their Sunday service, despite warnings from health officials to practice social distancing.
2nd person in days killed by Mardi Gras float in New Orleans
A man was struck and killed by a Mardi Gras float during a raucous Saturday night street parade in New Orleans, becoming the second person in days killed along a parade route during this year's Carnival season, authorities said.
A man was struck and killed by a Mardi Gras float during a raucous Saturday night street parade in New Orleans, becoming the second person in days killed along a parade route during this year's Carnival season, authorities said.



















