Mattel indoor water park: Plans filed for Orlando location

Mattel, a toy and entertainment company, is moving forward with plans to bring an indoor water park with Barbie and Hot Wheels attractions to Central Florida.  

The company announced last fall that it planned to bring a new water park concept called Mattel Wonder Indoor Waterpark to five locations, including Orlando, but it didn’t disclose the exact locations. 

New Details:

Documents filed with Orange County this week appear to reveal where the indoor water park will go. 

CLICK TO DOWNLOAD THE FOX LOCAL APP

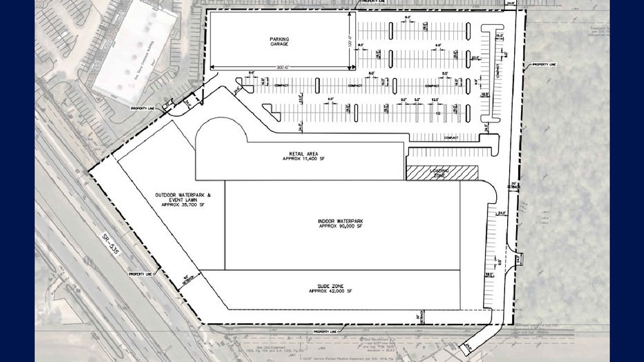
Kimley-Horn, an engineering and design firm, filed a pre-application permit for the project on behalf of Mattel. According to the filing, the water park would be built on an 11-acre site on State Road 535 near Lake Buena Vista Factory Stores. 

The documents say the site would be developed into a "tourist commercial resort" that includes "indoor/outdoor water park features, an outdoor gathering area, a retail store, and a family entertainment center."

A concept plan was also included with the permit application. It shows plans for a 90,000-square-foot indoor water, an 11,400-square-foot retail area, and a 42,000-square-foot slide zone. The site would also include 35,700-square-foot space for an outdoor water park and an event lawn. 

The plan calls for a parking garage with 368 spaces and a surface lot with 384 spaces. 

A concept plan filed with Orange County calls for 90,000-square-foot facility that would include an indoor water park, an outdoor water park, event space and a retail store. (Courtesy: Orange County/Kimley-Horn)

SIGN-UP FOR FOX 35'S BREAKING NEWS, DAILY NEWS NEWSLETTERS

In mid-November, Mattel announced plans for an indoor water park and said that it was targeting Orlando as the first location. The company said the park would include attractions based on many of Mattel’s brands, including Barbie and Hot Wheels. Mattel also owns brands such as Thomas & Friends, Polly Pocket and Fisher-Price. 

Each park will use several brands for attractions such as lazy rivers, wave pools and water slides. 

Orlando-based aquatic design firm Martin Aquatic is leading the design work for the park. The company’s previous work includes Universal’s Volcano Bay water park and Royal Caribbean’s Perfect Day at CocoCay. Mattel is also working with American Resort Management and developer Identity Group on the project. 

"We are thrilled to collaborate with these exceptional industry leaders in water park development to create an experience where guests can connect with their favorite brands in an entirely new way," Julie Freeland, Mattel’s VP of Global Location Based Entertainment, said in a statement in November. 

In December, Mattel revealed two more locations for its Mattel Wonder Indoor Waterpark concept: Bellevue, Nebraska and Bradley, Illinois. The other two of the planned five locations have not yet been announced. 

The Source: This article was written with information gathered from Orange County records, Mattel and previous FOX 35 reporting. 

Orlando theme park newsOrlando NewsOrange County News